Beleggingspand Nieuwezijds Voorburgwal 302, Rosmarijnsteeg 2 & Wijde Heisteeg 7 in Amsterdam verkocht
04-10-2024
De status van het beleggingspand Nieuwezijds Voorburgwal 302, Rosmarijnsteeg 2 & Wijde Heisteeg 7 in Amsterdam is gewijzigd naar ‘verkocht’.
Dit beleggingspand is op 29 mei 2024 gepubliceerd op ons platform. Wij feliciteren de aanbieder met de verkoop. div>
De kerngegevens zijn als volgt:
- Vraagprijs: € 2.000.000
Bij publicatie hebben wij de volgende omschrijving gebruikt:
TWEE MONUMENTALE CASCO WOON-WINKELPANDEN LEEG EN VRIJ VAN HUUR
Perceel 1 (Rijksmonument) – Nieuwezijds Voorburgwal 302 / Rosmarijnsteeg 2
- Winkelruimte (begane grond en souterrain);
- Drie zelfstandige bovenwoningen
Perceel 2 (Rijksmonument) – Wijde Heisteeg 7
- Winkelruimte (begane grond en souterrain);
- Vier zelfstandige bovenwoningen
Richtprijs:
€ 2.000.000,-
NIEUWEZIJDS VOORBURGWAL 302 & ROSMARIJNSTEEG 2B-2C
Het betreft een winkel-/woonhuis bestaande uit één winkelruimte gelegen op de begane grond en het souterrain van het object, alsmede 3 zelfstandige bovenwoningen.
KENMERKEN
- Bouwjaar: 17e eeuw, 1873;
- Rijksmonument;
- Traditioneel gebouwd, met gemetselde gevels;
- Het pand is op dit moment volledig casco gestript;
- Winkelruimte begane grond: ca. 63 m2 BVO;
- Winkelruimte souterrain: ca. 67 m2 BVO;
- Bovenwoningen (3) totaal: ca. 136 m2 GBO
WIJDE HEISTEEG 7
Het betreft een winkel-/woonhuis bestaande uit één winkelruimte gelegen op de begane grond en het souterrain van het object, alsmede 4 zelfstandige bovenwoningen.
KENMERKEN
- Bouwjaar: 1600;
- Rijksmonument;
- Traditioneel gebouwd, met lijstgevel;
- Het pand is gestript en bevindt zich in casco staat; fundering vernieuwd, incl. kelder;
- Winkelruimte begane grond: ca. 46 m2 BVO;
- Winkelruimte souterrain: ca. 55 m2 BVO;
- Bovenwoningen (4) totaal: ca. 155 m2 GBO
LIGGING
Object is gelegen aan (of nabij) Nieuwezijds Voorburgwal, een gedempte gracht in het centrum van Amsterdam. Hij verbindt het Spui met de Martelaarsgracht. De straat loopt min of meer noord-zuid, evenwijdig aan de Spuistraat. De Raadhuisstraat loopt vanaf de Nieuwezijds Voorburgwal in westelijke richting. Aan de oostkant van de Nieuwezijds Voorburgwal loopt een reeks steegjes naar de Kalverstraat (en verder naar het Rokin) en de Nieuwendijk (en verder naar het Damrak). Het getaxeerde is gelegen op de hoek van de Rosmarijnsteeg. De omgeving van het getaxeerde bestaat uit meerdere Rijksmonumenten, welke in gebruik zijn als winkel- en woonruimte, alsmede een combinatie van beiden.
Door de ligging in het centrum van Amsterdam, zijn nagenoeg alle voorzieningen op korte afstand van het object gelegen. Bijvoorbeeld op korte afstand: Koninklijk Paleis op de Dam. Het is een aantrekkelijk gebied voor potentiële huurders, voor zowel winkel, als woonruimte.
BEREIKBAARHEID
De bereikbaarheid van het object met eigen vervoer is redelijk, door de ligging in Amsterdam Centrum. Daarentegen is de bereikbaarheid met het openbaar vervoer erg goed. Er zijn vele naastgelegen tramhaltes waardoor eveneens Centraal Station van Amsterdam eenvoudig en snel te bereiken is. Ook de bereikbaarheid te fiets of te voet is erg goed.
SPECIFICATIES NIEUWEZIJDS VOORBURGWAL & ROSMARIJNSTEEG
LOCATIE OMSCHRIJVING
Nieuwezijds Voorburgwal
De Nieuwezijds Voorburgwal is een gedempte gracht in het centrum van Amsterdam. Hij verbindt het Spui met de Martelaarsgracht. De straat loopt min of meer noord-zuid, evenwijdig aan de Spuistraat. De Raadhuisstraat loopt vanaf de Nieuwezijds Voorburgwal in westelijke richting.[1]
Aan de oostkant van de Nieuwezijds Voorburgwal loopt een reeks steegjes naar de Kalverstraat (en verder naar het Rokin) en de Nieuwendijk (en verder naar het Damrak).
KADASTRALE AANDUIDING
Het betreft een winkel- / woonhuis bestaande uit één winkelruimte gelegen op de begane grond en het souterrain van het object, alsmede driezelfstandige bovenwoningen. Kadastraal staat het als volgt bekend:
Het winkel-/woonhuis met ondergrond, erf, tuin en verder toebehoren, staande en gelegen te 1012 RT Amsterdam, Nieuwezijds Voorburgwal 302, kadastraal bekend gemeente Amsterdam, sectie F, nummer 1713, ter grootte van veertig centiare (40 ca).
Het winkel-/woonhuis met ondergrond, erf, tuin en verder toebehoren, staande en gelegen te 1012 RP Amsterdam, Rosmarijnsteeg 2, kadastraal bekend gemeente Amsterdam, sectie F, nummer 1714, ter grootte van zevenentwintig centiare (27 ca).
VERGUNNINGEN
Voor dit object zijn de volgende vergunningen reeds afgegeven:
- Omgevingsvergunning d.d. 1 juni 2021 – Nieuwezijds Voorburgwal 302. De vergunning gaan uit van een winkelruimte op de begane grond en in de kelder, en die zelfstandige woningen op de eerste tot en met de derde verdieping.
- Omgevingsvergunning d.d. 1 juni 2021 – Rosmarijnsteeg 2. De vergunning gaat uit van een winkelruimte op de begane grond en kelder, en drie zelfstandige woningen.
Er is reeds een vergunning afgegeven voor de samenvoeging van Nieuwezijds Voorburgwal 302 en Rosmarijnsteeg 2
SPECIFICATIES WIJDE HEISTEEG
LOCATIE OMSCHRIJVING
Wijde Heisteeg
De Wijde Heisteeg is gelegen tussen Singel en Herengracht en aangelegd op een stuk grond dat in de zestiende eeuw bij Amsterdam werd getrokken. De steeg ontleent zijn naam aan de Heisteeg, waar het in het verlengde van ligt, en die van de vorige stadsuitleg dateert.
Doordat de Wijde Heisteeg opgenomen is in de zogenaamde 9 straatjes is deze heden ten dage sterk gericht op winkelend publiek
KADASTRALE AANDUIDING
Het betreft een winkel-/woonhuis bestaande uit één winkelruimte gelegen op de begane grond en het souterrain van het object, alsmede vierzelfstandige bovenwoningen. Kadastraal staat het als volgt bekend:
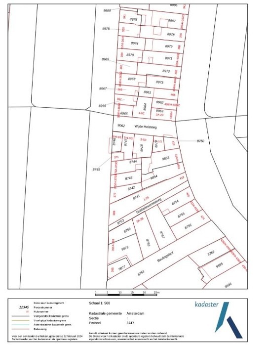
Het winkel-/woonhuis bestaande uit één winkelruimte gelegen op de begane grond en het souterrain, alsmede vier zelfstandige bovenwoningen, plaatselijk bekend als Wijde Heisteeg 7-H,7-1, 7-2, 7-3 en 7-4, 1016 AS Amsterdam, kadastraal bekend gemeente Amsterdam, sectie I, nummer 8747, ter grootte van zesenveertig centiare.
VERGUNNINGEN
Voor dit object zijn de volgende vergunningen reeds afgeven: 1.Omgevingsvergunning d.d. 14 december 2021 –Wijde Heisteeg 7De vergunning gaat uit van een winkelruimte op de begane grond en in de kelder vier zelfstandige woningen op de 1et/m de 4everdieping. Tegen deze omgevingsvergunning is door omwonende beroep ingesteld en dat is afgewezen. Daarmee is de vergunning onherroepelijk geworden.
Laatste nieuws
Verkocht in Den Haag
26-04-2026
Verkocht in De Lier
09-04-2026
Verkocht in Heerhugowaard
01-04-2026
Verkocht in Nieuw Vennep
01-04-2026
Verkocht in Gouda
01-04-2026
Verkocht in Nissewaard
01-04-2026
Verkocht in Den Haag
01-04-2026
Verkocht in Woerden
01-04-2026
Verkocht in Hallum
01-04-2026
Verkocht in Den Haag
01-04-2026
Verkocht in Dordrecht
01-04-2026
Verkocht in Maastricht
15-03-2026
Vergelijkbaar aanbod
Vergelijkbaar pand kopen
Bent u op zoek naar een vergelijkbaar beleggingspand?
Maak een account aan en registreer uw zoekprofiel dan ontvangt u ons aanbod als eerste direct na publicatie.
Vergelijkbaar pand verkopen
Heeft u zelf een beleggingspand om te verkopen?
Presenteer uw pand rechtstreeks aan ons netwerk van 100.000 beleggers waarvan er wekelijks 47.000 beleggers de mailing met nieuw aanbod ontvangen.









